family CERAMBYCIDAE Latreille, 1802
subfamily LEPTURINAE Latereille, 1802
tribe Lepturini Latreille, 1802
genus Grammoptera Dejean 1835
Grammoptera abdominalis (Stephens, 1831)
subgenus Grammoptera Dejean, 1835






Velikost 5-11 mm.
Bionomie. Dle Demelta (1966) vývoj larev v odumřelých větvích 2 - 5 cm silných, napadených houbou, do běla shnilých, zteřelých. Přezimuje jako praepupa. Kuklí se pod kůrou, nebo ve dřevě. Asi dvouletý vývoj. - Imaga se vyskytují od konce IV. do VI. na listech Quercus a různých květech, např. Crataegus, Swida sanguinea, Sorbus.
Živné rostliny - Quercus .
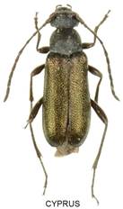
Grammoptera ruficornis ruficornis (Fabricius, 1781)
subgenus Grammoptera Dejean, 1835



Velikost 3-7 mm.
Bionomie. Vývoj larev mezi kůrou a dřevem odumírajících a odumřelých slabých větví a větviček, obvykle o průměru 1 - 4 cm. Kukelní kolébky jsou mělce vyhloubeny v běli pod kůrou. Doba vývoje jeden rok. Imaga se vyskytují od V. do VI. na různých květech, na př. Crataegus a Apiaceae.
Živné rostliny - Frangula alnus, Alnus, Fraxinus, Quercus, Tilia, Euonymus; Carpinus, Sarothamnus scoparius; Cornus mas, Hedera, Crataegus, Salix, Populus, Fagus, Ulmus, Corylus, Prunus, Sambucus niger, Acer aj.
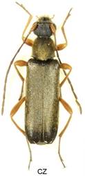
Grammoptera ustulata ustulata (Schaller, 1783)
subgenus Grammoptera Dejean, 1835




Velikost 5-9 mm.
Bionomie. Vývoj v slabých odumřelých větvích o průměru 1 - 2 cm, udává se až 4 cm. Demelt (1966) a další udávají vývoj larev ve dřevě napadeném houbami, nebo s vyšším stupněm hniloby. Kuklení pod kůrou nebo ve dřevě. Doba vývoje zřejmě jeden rok. - Imaga se vyskytují IV. - VI., maximum V. Na listech Quercus a různých květech, zejména Crataegus.
Živné rostliny - Quercus, dále se uvádí Crataegus, Juglans, Acer, Alnus, Tilia.
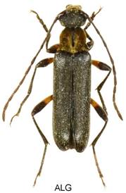
Grammoptera auricollis Mulsant & Rey, 1863
Grammoptera auricollis auricollis Mulsant & Rey, 1863:
subgenus Grammoptera Dejean, 1835

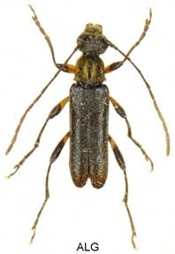
Grammoptera auricollis basicornis Pic, 1924
subgenus Grammoptera Dejean, 1835

Grammoptera auricollis samai Sláma, 1997
subgenus Grammoptera Dejean, 1835


Subspecii samai jsem měl v úmyslu popsat jako samostatný druh, ale při popisu jsem respektoval názor Samův, že jde o subspecii G. auricollis. Stále více jsem ale přesvědčen o tom, že by subspecie auricollis, basicornis, samai a samozřejmě také bipustulata měly být vedeny jako zvláštní druhy, protože jsou od sebe značně odlišné.
Grammoptera bipustulata Steiner, 1975
subgenus Grammoptera Dejean, 1835


Steiner popsal tuto Grammopteru jako samostatný druh. Později byla uváděna jako subspecie Grammoptera auricollis. Od tohoto druhu je ale velmi odlišná, takže ji uvádím jako samostatný druh a názor Steinerův považuji za správný.
Grammoptera viridipennis Pic, 1893
subgenus Grammoptera Dejean, 1835

Grammoptera baudii baudii Sama, 1985
subgenus Grammoptera Dejean, 1835

Grammoptera merkli (Frivaldszky, 1884)
subgenus Grammoptera Dejean, 1835

